Complesso sportivo, turistico – ricettivo “La Casa degli Elimi ”, Lampedusa

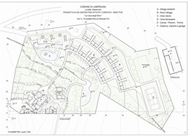
Il progetto funzionale ipotizza la ristrutturazione degli attuali edifici residenziali da adibire a 11 unità abitative e costruzione di 24 nuove unità per ottenere un albergo per 35 unità-alloggio. A completamento di questi interventi il progetto prevede la dotazione dei servizi generali con un’area ristoro, bar, ristorante e cucina, locali per la direzione, per il personale e di una ampia zona per il benessere, palestra, sala conferenza, spazio vendita, spazi esterni con piscina, campi da gioco e zone attrezzate a verde con cavea all’aperto.

Committente
La Casa degli Elimi
Anno
2005-2009
Dimensione Mq 22.432
Costo 2.052.956,00 Euro
Servizi Progetto preliminare
  In fase di realizzazione
Complesso sportivo, turistico – ricettivo “La Casa degli Elimi ”, Lampedusa Complesso sportivo, turistico – ricettivo “La Casa degli Elimi ”, Lampedusa Complesso sportivo, turistico – ricettivo “La Casa degli Elimi ”, Lampedusa
Complesso sportivo, turistico – ricettivo “La Casa degli Elimi ”, Lampedusa
Complesso sportivo, turistico – ricettivo “La Casa degli Elimi ”, Lampedusa
 
Complesso sportivo, turistico – ricettivo “La Casa degli Elimi ”, Lampedusa

 

 

C. e GC. PEDICONI R. MAGAGNINI ARCHITETTI ASSOCIATI - SEDE Piazza dei Caprettari 70 00186 Roma - TEL/FAX +39 066834005 - EMAIL ppm@pediconimagagnini.com

design by JB design